コクシジウム症

スポンサーリンク
原生動物

アイメリア・マキシマ(Eimeria maxima) ~ コクシジウム症(高病原性の原虫寄生虫)

アイメリア・マキシマ(Eimeria maxima)は、ニワトリの一般的な腸内寄生虫である高病原性の原虫寄生虫です。E.maximaは、鶏の空腸と回腸にアイメリア・ミチス(E.mitis)と一緒に寄生し、特定の出血を伴う腸壁の炎症と上皮の脱...
原生動物

アイメリア・ハガニ(Eimeria hagani) ~ コクシジウム症(高病原性の原生動物寄生虫)

アイメリア・ハガニEimeria haganiは、ニワトリの一般的な腸内寄生虫である高病原性の原生動物寄生虫です。分類目:コクシジウム目(Eucoccidiorida)科:アイメリア科(Eimeriidae)属:アイメリア(Eimeria)...
原生動物

アイメリア テネア(Eimeria tenella) ~ コクシジウム症(高病原性の原虫)

アイメリア テネア(Eimeria tenella)は、ニワトリにコクシジウム症を引き起こす9つの異なるアイメリア属(Eimeria spp.)の1つで、ニワトリの一般的な腸内寄生虫である高病原性の原虫です。E.tenellaは特にニワトリ...
原生動物

アイメリア・プレコックス(Eimeria praecox) ~ コクシジウム症(最も病原性の低い原虫寄生虫の1つ)

アイメリア・プレコックス(Eimeria praecox)は、ニワトリの一般的な腸管寄生虫である最も病原性の低い原虫寄生虫の1つです。E.praecoxは、鶏の十二指腸と空腸に特に見られ、腸内容物の水様化、粘液や粘液円柱、小腸上部の点状疱疹...
原生動物

アイメリア・ミチス(Eimeria mitis) ~ コクシジウム症(病原性の低い原虫)

アイメリア・ミチス(Eimeria mitis)は、ニワトリの一般的な腸内寄生虫である病原性の低い原虫です。E.mitisは、ニワトリの回腸に認められ、限局性腸炎を引き起こし体液喪失を引き起こします。吸収不良、赤色点状出血及び白色の円形斑点...
原生動物

アイメリア・ネカトリツクス(Eimeria necatrix) ~ コクシジウム症(高病原性の原生動物寄生虫)

アイメリア・ネカトリツクス(Eimeria necatrix)は、高病原性の原生動物寄生虫で、ニワトリの一般的な腸内寄生虫です。E.necatrixは、特に鶏の空腸、盲腸、および回腸に認められ、そこでは壊死組織片と黒と白のプラークを生じます...
原生動物

アイメリア・ブルネッティ(Eimeria brunetti) ~ コクシジウム症(高病原性の原虫寄生虫)

アイメリア・ブルネッティEimeria brunettiは、鶏の一般的な腸内寄生虫である高病原性の原虫寄生虫です。E.brunettiは、鶏の盲腸と直腸に特に見られ、腸壁の炎症を引き起こし、ピンポイントでの出血、上皮の脱落、盲腸壁の肥厚、近...
原生動物

アイメリア・アセルブリナ(Eimeria acervulina) ~ コクシジウム症(老齢の家禽にコクシジウム症を引き起こすアイメリア属の1種)

アイメリア・アセルブリナ(学名:Eimeria acervulina)とは、老齢の家禽にコクシジウム症を引き起こすアイメリア属の1種です。傷害は小腸の前部1/3の領域に限局します。病理所見として白色ないし灰色の線状所見が筋肉上や小腸内部表面...
原生動物

アイメリア・ミバティ(Eimeria mivati) ~ コクシジウム症(高病原性の原虫寄生虫)

アイメリア・ミバティ(Eimeria mivati)は、鶏の一般的な腸内寄生虫である高病原性の原虫寄生虫です。分類目:コクシジウム目(Eucoccidiorida)科:アイメリア科(Eimeriidae)属:アイメリア(Eimeria)宿主...
T

トリメトプリム・スルファメトキサゾール(バクトリム) ~ ほとんどのグラム陰性菌、ブドウ球菌感染症、肺炎および鶏のコクシジウム症に対して優れた活性を有する

トリメトプリム・スルファメトキサゾール (バクトリム) は、ほとんどのグラム陰性菌、ブドウ球菌感染症、肺炎および鶏のコクシジウム症に対して優れた活性を有する広域スペクトルの抗生物質です。サルファ剤クラスの抗生物質は、宿主が利用できる葉酸を阻...
S

スルファキノキサリン(Sulfaquinoxaline) ~ コクシジウム症、急性家禽コレラ、家禽チフスの治療に家禽で使用されます

スルファキノキサリンは、コクシジウム症、パスツレラ・ムルトシダ(Pasteurella Multocida)による急性家禽コレラおよびサルモネラ・ガリナルム(Salmonella Gallinarum)による家禽チフスの治療に家禽で使用され...
S

スルファジメトキシン(Sulfadimethoxine) ~ 主に家禽類のコクシジウム症の治療に使用されます

スルファジメトキシン(商品名アルボン)は、スルホンアミド系抗生物質(「サルファ剤」の一種)で、主に家禽類のコクシジウム症の治療に使用されます。単独で投与することも、オルメトプリムと組み合わせて投与することもできます。休卵期間:スルファジメト...
T

トルトラズリル(Toltrazuril) ~ ニワトリ及び七面鳥におけるコクシジウム症の予防及び治療に使用します

トルトラズリルはニワトリ及び七面鳥におけるコクシジウム症の予防及び治療に使用される抗コクシジウム薬です。トルトラズリルは経口または飲料水中で2日間連続して投与できます。感染が重度の場合は5日後に治療を繰り返します。投与量6~25mg/kg ...
S

スルファメタジンナトリウム(Sodium Sulfamethazine) ~ 細菌感染症の治療に使用される抗菌薬

スルファメタジンナトリウムは、ニワトリのコクシジウム症、伝染性コリーザ、二次細菌感染症、アヒルの急性家禽コレラやアナチペスチファー病の治療に使用される抗菌薬です。投与量メーカーごとの推奨事項剤形可溶性粉末および液体
家禽用の飼料添加物

パープル・コーンフラワー(ムラサキバレンギク) ~ 免疫を高めニワトリのコクシジウム症の原因となるアイメリア属の感染からの回復に役立つ

パープルコーンフラワー(Echinacea purpurea:エキナセア・プルプレア)は、キク科ムラサキバレンギク属、北アメリカ原産の多年草です。花期は初夏から晩秋にあたる7~10月頃で、頭状花(花の中央に見える部分)は盛り上がり、舌状花(...
家禽用の飼料添加物

パパイア ~ カンジダ症の原因となることで知られる酵母様の真菌が過剰に繁殖するのを防ぐことができます

パパイアとは、パパイア科パパイア属の常緑小高木で、カリカ・パパイアの果実のことです。パパイアはアメリカ大陸に自生しており、その栄養、消化、薬効があるために伝統的な薬に使われてきた長い歴史があります。新鮮で熟したパパイアは、ビタミンCが最も豊...
家禽用の飼料添加物

オオバコ(大葉子) ~ ビタミンAとCを多く含みカルシウムも豊富に含まれています

オオバコ(Plantago spp:オオバコ類)は東アジア原産で、オオバコ科オオバコ属の多年草。その多くは多くの地域で一般的な雑草(野草)とされています。オオバコは、肝臓病、尿路の炎症、消化補助、上気道、軽度の切り傷、打撲、部位別接触皮膚炎...
家禽用の飼料添加物

ペパーミント(コショウハッカ) ~ 新鮮なペパーミントの葉を産卵鶏の食餌に加えると卵質が良くなります

ペパーミント(Mentha piperita:メンタ・ピペリタ)は、古代から伝統的な民間療法で、いくつかの症状や病気の治療薬として使用されてきました。家禽に関連した用途としては以下のようなものがあります防虫剤:ペパーミントは、ブリティッシュ...
家禽用の飼料添加物

インディアングーズベリー(ユカン) ~ ユカン果実の抽出物を経口投与すると痛風に対する保護効果が得られる

インディアングーズベリー(Phyllanthusemblica(フィランサス・エンブリカ)またはEmblicaofficinalis(エンブリカ・オフィシナリス))は、一般的な活力と認知力を高め、寿命を延ばす目的で使用されてきました。インド...
家禽用の飼料添加物

フェンネル(Foeniculum vulgare Mill.) ~ 暑熱ストレスの悪影響を緩和、ニワトリのコクシジウム症に効果がある可能性があります

フェンネル(フォエニクルム・ウルガル)(和名:ウイキョウ)は、古くから薬用植物として用いられてきた植物で、セリ科(ウイキョウ属)に属する季節性のハーブです。フェンネルは、南地中海地域から芳香性のハーブとして発祥し、帰化と栽培を通じて、北半球...
P

ポナズリル(Ponazuril) ~ トキソプラズマ症、コクシジウム症、およびサルコシスチス症の治療に使用される抗原虫薬

ポナズリルは、トキソプラズマ症(トキソプラズマ原虫によって引き起こされる)、コクシジウム症(アイメリア種によって引き起こされる)、およびサルコシスチス症(サルコシスチス原虫によって引き起こされる)の治療に使用される抗原虫薬です。また、ポナズ...
家禽用の飼料添加物

アメリカせんだんぐさ (栴檀草) ~ ニワトリのコクシジウム症に対して有効である可能性があります

アメリカせんだんぐさ(Bidens pilosa)は、世界中の温帯および熱帯地域に広く分布する、直立した多年生草本です。近年、B.pilosa(コセンダングサ)の使用に対する世界的な関心が高まっており、この植物について多くの研究が行われてい...
家禽用の飼料添加物

バーベリィ(メギ) ~ コクシジウム症のニワトリの糞便から放出されるオーシストの数を減らすのに役立ちました

メギ(Berberis lycium)は、古くからインドの民間療法や漢方薬に使用されてきました。メギの主成分はベルベリンです。ベルベリンは、幅広い潜在的な治療特性を持つ核酸結合イソキノリンアルカロイドです。 家禽で研究された特定の用途は次の...
家禽用の飼料添加物

アロエベラ(Aloe vera) ~ アロエベラはニワトリのコクシジウム症に対して予防効果があります

アロエベラは2000年以上前から民間療法や伝統医学で使用されてきました。ムコ多糖類(グルコマンナン、ポリマンノース、全固形分の約10%)、酵素、アントラノイド、リグニン、サポニン、ビタミン、アミノ酸(10種類の必須アミノ酸のうち8種類の必須...
B

バンベルマイシン(Bambermycin) ~ アイメリア種に起因するコクシジウム症の予防

バンベルマイシン (フラボマイシン) は、 ストレプトマイセス属(Streptomyces bambergiensis)および(Streptomyces ghanaensis)から得られる一群の抗生物質です。バンベルマイシンは主にグラム陽性...
A

アンプロリウム(Amprolium) ~ ニワトリとシチメンチョウのコクシジウム症の治療と予防に使用される一般的な抗コクシジウム薬

アンプロリウムは、家禽・ニワトリとシチメンチョウのコクシジウム症の治療と予防に使用される一般的な抗コクシジウム薬です。米国では、FDAが認可した数少ない産卵鶏用医薬品の一つで、休薬期間はありません。アンプロリウムは、ニワトリの体内で球菌が増...
ニワトリの病気

家禽のコクシジウム症の治療(予防)のためのトルトラズリル2.5%経口液剤

バイコックス2.5%は家禽類(鶏・雉類・鳩・七面鳥・ガチョウやアヒル等の水禽類)のコクシジウム症の治療(予防)に使用します。コクシジウム症を引き起こす7つのアイメリア種すべてに対して作用するトルトラズリル経口混濁液です。2日間連続して1日、...
ニワトリの病気

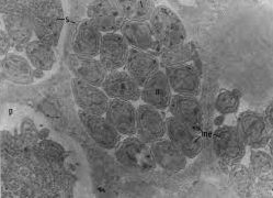
コクシジウム症 ~ 周囲の環境から胞子形成オーシスト(コクシジウム「卵」)を摂取することにより感染します

病名コクシジウム症病因アリメリア原虫主な宿主鶏発症日齢全日齢病気の伝播平飼いでは速い、水平死亡率E,Etenella, E,necatrixでは高い症状急性盲腸コクシジウム症:血便、貧血急性小腸コクシジウム症:大量の粘血便を排出して死亡慢性...
スポンサーリンク